Search Treasure Valley Homes for Sale
Browse every active listing in Boise, Meridian, Eagle, Nampa, Star, Kuna, Caldwell & beyond
Every home on the Intermountain MLS — updated daily. Search by city, price, beds, or neighborhood. When you find something you like, we’re a call away.
Save
Ask
Tour
Hide
$589,900
3 Days On Site
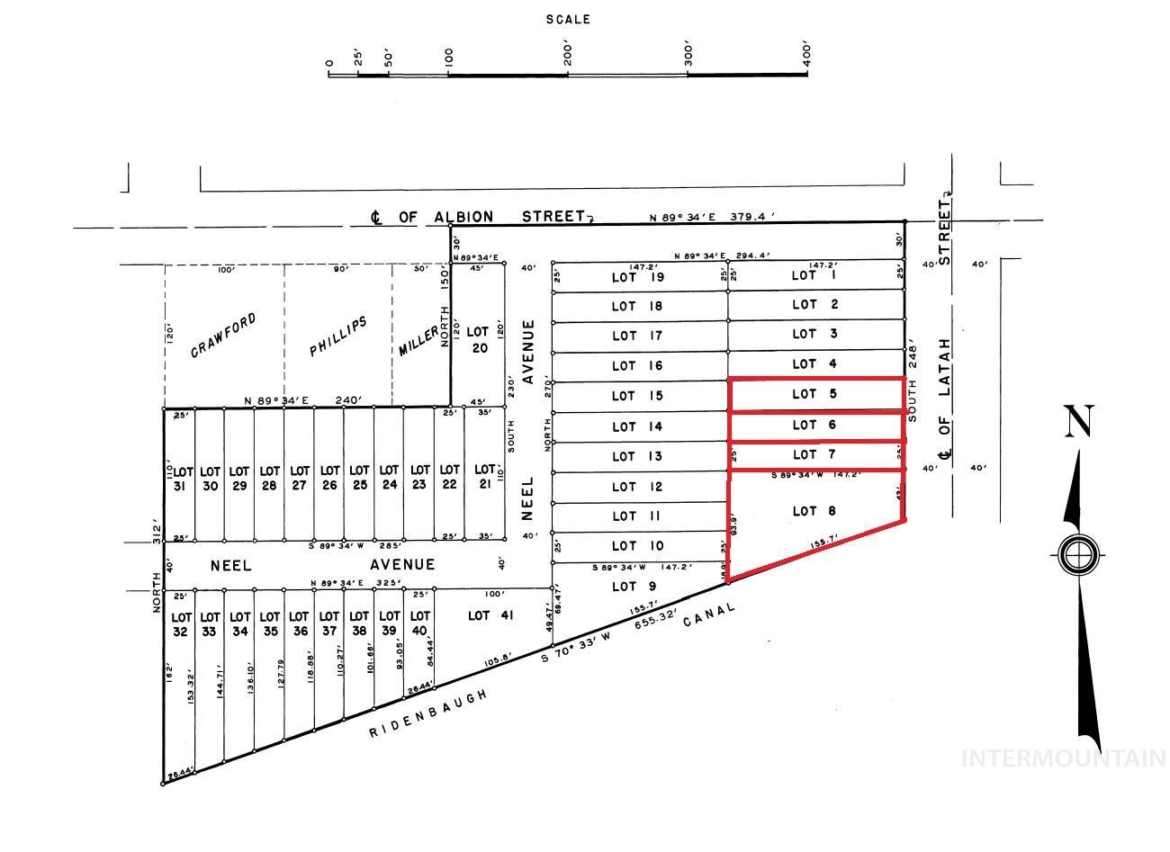
613 S Latah StreetBoise, ID 83705
For Sale|Unimproved Land|Active
0
Beds
0
Total Baths
Subdivision:
Criner Sub
County:
Ada
Listing courtesy of Atova (208) 369-0815




Save
Ask
Tour
Hide
Mortgage Calculator
Monthly Payment (Est.)
$2,691Calculator powered by Showcase IDX, a Constellation1 Company. Copyright ©2026 Information is deemed reliable but not guaranteed.
Prime Boise Bench location. Develop the 4 recorded legal lots as is or subdivide for the City's preference of higher density. Zoned R-2 (single family, multiple-family and limited commercial uses). Two blocks from Rose Hill, three blocks from Coffee, Cafe's, Brewery, Burgers and more. Minutes to the Saturday Farmers Market, Parks, Greenbelt, River and Downtown. Existing (vacant) home is a tear down, established sidewalks and utilities along frontage street.
Save
Ask
Tour
Hide
Listing Snapshot
Price
$589,900
Days On Site
3 Days
Bedrooms
N/A
Inside Area (SqFt)
N/A
Total Baths
N/A
Full Baths
N/A
Partial Baths
N/A
Lot Size
0.48 Acres
Year Built
N/A
MLS® Number
98980409
Status
Active
Property Tax
$4,303.28
HOA/Condo/Coop Fees
N/A
Sq Ft Source
N/A
Friends & Family
Recent Activity
| yesterday | Listing updated with changes from the MLS® | |
| 3 days ago | Price changed to $589,900 | |
| 4 days ago | Listing first seen on site |
General Features
Acres
0.48
Additional Property Use
Single Family
Property Sub Type
Unimproved Land
Utilities
Natural Gas AvailableElectricity AvailableNatural Gas ConnectedPhone ConnectedElectricity ConnectedSewer Connected
Water Source
Public
Zoning
R-2
Save
Ask
Tour
Hide
Exterior Features
Fencing
FencedFullWood
Lot Features
Level
Community Features
Community Features
CurbsSidewalks
Financing Terms Available
Cash
MLS Area
Boise Bench - 0400
Roads
Paved
School District
Boise School District #1
Schools
School District
Boise School District #1
Elementary School
Jefferson
Middle School
South Boise Jr
High School
Borah
Listing courtesy of Atova (208) 369-0815
All listings displayed pursuant to IDX shall show IMLS as the source of the information by using the approved MLS icon. IDX information is provided exclusively for consumers’ personal, non-commercial use, that it may not be used for any purpose other than to identify prospective properties consumers may be interested in purchasing. IMLS does not assume any liability for missing or inaccurate data. Information provided by IMLS is deemed reliable but not guaranteed. Copyright 2026, Intermountain Multiple Listing Service.
Last checked: 2026-04-06 08:06 AM UTC
All listings displayed pursuant to IDX shall show IMLS as the source of the information by using the approved MLS icon. IDX information is provided exclusively for consumers’ personal, non-commercial use, that it may not be used for any purpose other than to identify prospective properties consumers may be interested in purchasing. IMLS does not assume any liability for missing or inaccurate data. Information provided by IMLS is deemed reliable but not guaranteed. Copyright 2026, Intermountain Multiple Listing Service.
Last checked: 2026-04-06 08:06 AM UTC
Neighborhood & Commute
Source: Walkscore
Disclosure: Community information and market data powered by Constellation Data Labs. Information is deemed reliable but not guaranteed.
Save
Ask
Tour
Hide
Did you know? You can invite friends and family to your search. They can join your search, rate and discuss listings with you.